Info
(Lacepède, 1801)
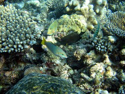
Feeds mainly on hard-shelled prey, including mollusks, crustaceans and sea urchins.
Jumping guard
A jumping guard prevents (nocturnal) fish from jumping out.
Wrasses, blennies, hawkfishs and gobies jump out of an unprotected tank in fright if their night rest is disturbed, unfortunately these jumpers are found dried up in the morning on carpets, glass edges or later behind the tank.
https://www.korallenriff.de/en/article/1925_5_Jump_Protection_Solutions_for_Fish_in_the_Aquarium__5_Net_Covers.html
A small night light also helps, as it provides the fish with a means of orientation in the dark!
Synonyms:
Halichoeres centiquadrus (Lacepède, 1801)
Halichoeres centriquadrus (Lacepède, 1801)
Halichoeres hortulans (Lacepède, 1801)
Halichoeres hortulanus centiquadrus (Lacepède, 1801)
Halichoeres hortulanus centriquadrus (Lacepède, 1801)
Hemitautoga centiquadrus (Lacepède, 1801)
Labrus centiquadrus (Lacepède, 1801)
Labrus hortulanus (Lacepède, 1801)
					Feeds mainly on hard-shelled prey, including mollusks, crustaceans and sea urchins.
Jumping guard
A jumping guard prevents (nocturnal) fish from jumping out.
Wrasses, blennies, hawkfishs and gobies jump out of an unprotected tank in fright if their night rest is disturbed, unfortunately these jumpers are found dried up in the morning on carpets, glass edges or later behind the tank.
https://www.korallenriff.de/en/article/1925_5_Jump_Protection_Solutions_for_Fish_in_the_Aquarium__5_Net_Covers.html
A small night light also helps, as it provides the fish with a means of orientation in the dark!
Synonyms:
Halichoeres centiquadrus (Lacepède, 1801)
Halichoeres centriquadrus (Lacepède, 1801)
Halichoeres hortulans (Lacepède, 1801)
Halichoeres hortulanus centiquadrus (Lacepède, 1801)
Halichoeres hortulanus centriquadrus (Lacepède, 1801)
Hemitautoga centiquadrus (Lacepède, 1801)
Labrus centiquadrus (Lacepède, 1801)
Labrus hortulanus (Lacepède, 1801)






					
						 	Jean-Marie Gradot, La Reunion
							
