Info
(Quoy & Gaimard, 1825)
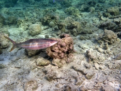
Adults are found in oceanic and coastal waters, generally near the surface over reefs or sometimes far from the coast often around floating logs or other debris. Feed on invertebrates, mainly on larger crustaceans of the zooplankton, and small fishes
Synonyms:
Egalatis bipinnulatus (Quoy & Gaimard, 1825)
Elagatis bipinnulatus (Quoy & Gaimard, 1825)
Elegatis bipinnulata (Quoy & Gaimard, 1825)
Elegatis bipinnulatus (Quoy & Gaimard, 1825) Elegatis bipunnulata (Quoy & Gaimard, 1825)
Elegatus bipinnulatus (Quoy & Gaimard, 1825) Irex indicus Valenciennes, 1862
Micropteryx bipinnulatus (Quoy & Gaimard, 1825)
Seriola bipinnulata Quoy & Gaimard, 1825
Seriolichthys bipinnulatus (Quoy & Gaimard, 1825)
Classification:
Biota > Animalia (Kingdom) > Chordata (Phylum) > Vertebrata (Subphylum) > Gnathostomata (Superclass) > Pisces (Superclass) > Actinopterygii (Class) > Perciformes (Order) > Carangidae (Family) > Elagatis (Genus)
Adults are found in oceanic and coastal waters, generally near the surface over reefs or sometimes far from the coast often around floating logs or other debris. Feed on invertebrates, mainly on larger crustaceans of the zooplankton, and small fishes
Synonyms:
Egalatis bipinnulatus (Quoy & Gaimard, 1825)
Elagatis bipinnulatus (Quoy & Gaimard, 1825)
Elegatis bipinnulata (Quoy & Gaimard, 1825)
Elegatis bipinnulatus (Quoy & Gaimard, 1825) Elegatis bipunnulata (Quoy & Gaimard, 1825)
Elegatus bipinnulatus (Quoy & Gaimard, 1825) Irex indicus Valenciennes, 1862
Micropteryx bipinnulatus (Quoy & Gaimard, 1825)
Seriola bipinnulata Quoy & Gaimard, 1825
Seriolichthys bipinnulatus (Quoy & Gaimard, 1825)
Classification:
Biota > Animalia (Kingdom) > Chordata (Phylum) > Vertebrata (Subphylum) > Gnathostomata (Superclass) > Pisces (Superclass) > Actinopterygii (Class) > Perciformes (Order) > Carangidae (Family) > Elagatis (Genus)






Kevin Bryant, USA